Cyprus Properties for Sale - Altamira Real Estate (Cyprus)

8000 8200 +357 22 696500

Filter

Field - Pyla, Larnaca

Larnaca - Ref. PR14207Map

7
Save Share Print
Alert

By email

Field - Pyla, Larnaca

Ref. PR14207

Subject to VAT

65,000

Indicative Price

  • 1,088 m2 (whole share)

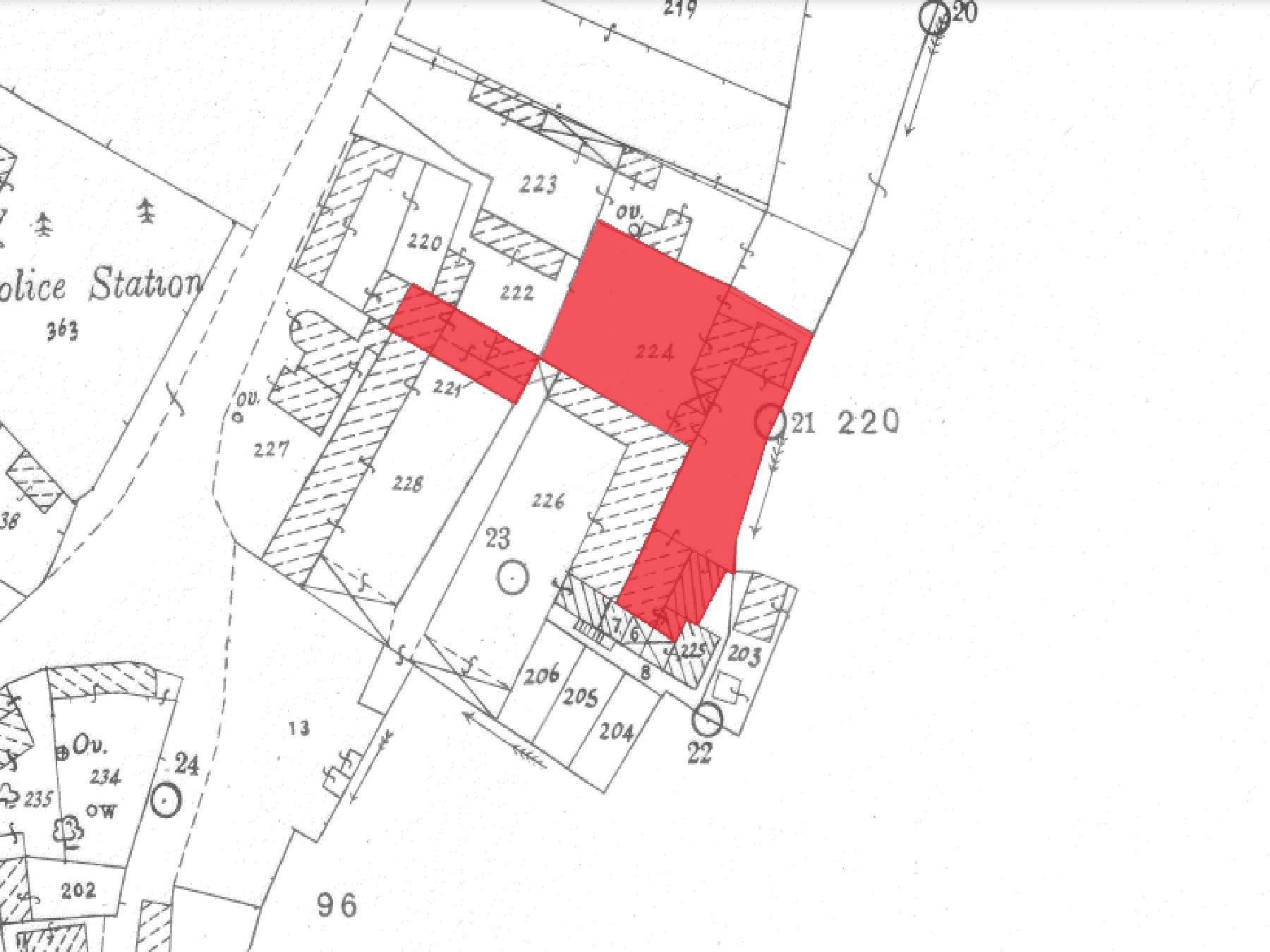
The property for sale concerns 2  partially adjacent residential fields in Pila village, in Larnaca District. They are located approximately 400 meters north of Agiou Georgiou church and approximately 800 meters northwest of UCLAN University.

As a single unit, It has an irregular shape with an even surface, and its access is achieved via an unregistered road.

Within the property, there are some economically obsolete structures.

The properties fall within the Residential Zone H1, having a building density of 120%.

The properties are sold as a single unit with total area of 1.088 sqm.


THE CLOSING TIME FOR TENDER SUBMISSION IS 10:00 AM EVERY TUESDAY,
UNLESS OTHERWISE SPECIFIED

- - - - - - - - - - -

The Tenderer is exclusively responsible for conducting an inspection of the Property and to take all actions necessary to verify and / or be satisfied on the accuracy of the details of the Property (including planning particulars, boundaries a.o), and in addition to ascertain whether the sale of the Property is subject to VAT and the exact amount payable. In case of disagreement, it is the sole responsibility of the Tenderer to provide relevant evidence to satisfy Altamira Real Estate.

The Terms and Conditions found on the Tender form must be carefully considered prior to submitting an Offer. 

Any photographs, markings, outlines, or other design on the photographs are indicative and for illustration purposes only.

All planning particulars or other features of the property must be checked with the relevant authorities. Altamira Real Estate is not bound to accept the highest or any other offer submitted. 

The above price may be modified without any prior notice.

All information received from Altamira Real Estate (through the website and / or its operators and / or otherwise) is indicative and no guarantee is given for its completeness and / or validity.

 - - - - - - - - - - - - -

District: Larnaca

Municipality: Pyla

Characteristics

  • Use: Residential
  • Land area: 1,088 m2 (whole share)
  • Title deed: The property has a separate title deed

Land Registry Information

Reference Reg. Nº Sheet/Plan Block Parcel Nº
PR14207 0/5169 41/4104V01 1 221
  • Planning zone: Η1
  • Building Coefficient: 120%
  • Coverage Coefficient: 70%
  • Maximum Floors Allowed: 2/3
  • Maximum Building Height (m): 8,30/11,40
Reference Reg. Nº Sheet/Plan Block Parcel Nº
PR14207 0/5329 41/4104V01 1 224
  • Planning zone: Η1
  • Building Coefficient: 120%
  • Coverage Coefficient: 70%
  • Maximum Floors Allowed: 2/3
  • Maximum Building Height (m): 8,30/11,40

Tender Form

The Tenderers may submit their Tenders within seven (7) calendar days from the publication date displayed on https://www.altamirarealestate.com.cy/ (hereinafter "Altamira Website"). In the case where it is decided that the period of seven (7) calendar days is not sufficient, the period may be extended by an announcement to that effect on Altamira Website as indicated above within the Tender Form Section of each property. Following the expiration of the submission period, if no Tender has been submitted, the property will remain on Altamira Website and the submission period shall be extended on a weekly basis. Otherwise, in the case where a Tender has been received, the property will be removed from Altamira Website.

Location

Open in Google Maps

(35.015678, 33.694256)

Owner

COOPERATIVE ASSET MANAGEMENT COMPANY LTD